Der Oberste Gerichtshof hat als Revisionsgericht durch die Vizepräsidentin Dr. Huber als Vorsitzende und die Hofrätinnen und Hofräte Dr. Hoch, Dr. Kalivoda, Mag. Dr. Wurdinger und Mag. Malesich als weitere Richter in der Rechtssache der klagenden Partei K***** H*****, vertreten durch Dr. Markus Heis, Rechtsanwalt in Innsbruck, gegen die beklagte Partei M***** T*****, vertreten durch Dr. Klaus Herke, Rechtsanwalt in Innsbruck, wegen Einwilligung in die Einverleibung einer Dienstbarkeit, über die Revision der klagenden Partei gegen das Urteil des Landesgerichts Innsbruck als Berufungsgericht vom 30. September 2013, GZ 1 R 200/13p 13, mit dem das Urteil des Bezirksgerichts Hall in Tirol vom 27. Mai 2013, GZ 14 C 14/13i 9, bestätigt wurde, zu Recht erkannt:
Der Revision wird Folge gegeben.
Die Urteile der Vorinstanzen werden dahin abgeändert, dass das Urteil lautet:
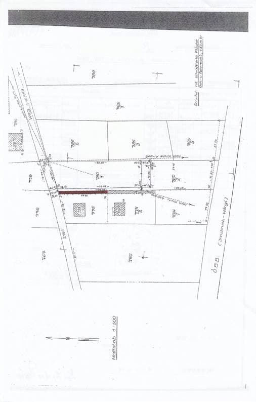
1. Die beklagte Partei ist schuldig, in die Einverleibung der Grunddienstbarkeit des Gehens und Fahrens auf ihrem Grundstück 775 in EZ 473, Grundbuch ***** auf einer Breite von 1,5 m entlang der östlichen Grundstücksgrenze in jenem Bereich, welcher in der angeschlossenen und einen integrierenden Urteilsbestandteil bildenden Lageskizze des DI M***** D***** vom 14. Oktober 1955, GZ 27/1956, rot schraffiert ist, zugunsten des jeweiligen Eigentümers der Grundstücke 220 und 774/2 in EZ 472, Grundbuch *****, einzuwilligen.
2. Die beklagte Partei ist schuldig, der klagenden Partei die mit 4.647,52 EUR (darin enthalten 527,25 EUR USt und 1.484 EUR Barauslagen) bestimmten Kosten aller drei Instanzen binnen 14 Tagen zu ersetzen.
Entscheidungsgründe:
Der Kläger ist Alleineigentümer der Liegenschaft EZ 472, GB *****, bestehend aus den Grundstücken 220 und 774/2 samt dem darauf errichteten Einfamilienhaus, in dem sich ein Planungsbüro befindet. Die Beklagte ist Alleineigentümerin der im Norden an diese Liegenschaft angrenzenden EZ 473, GB *****, bestehend aus den Grundstücken 133 und 775 samt dem darauf errichteten Gebäude. Der Kläger und seine Familie fahren und gehen jedenfalls seit mehr als 30 Jahren auf dem 3 m breiten Weg zu seinem Grundstück. Der Weg verläuft zur Hälfte, also in einem Ausmaß von jeweils 1,5 m, entlang der östlichen Grenze des Grundstücks 775 der Beklagten sowie auf einem im Westen daran angrenzenden Nachbargrundstück. Er mündet in den nördlich gelegenen öffentlichen Weg. Um vom öffentlichen Wegenetz kommend zum Grundstück des Klägers zuzufahren, muss man auf diesem Zufahrtsweg, somit auch über die Grundfläche der Beklagten, fahren. Der Kläger und seine Gattin fahren seit über 30 Jahren mit zwei Pkws über diesen Weg; von ca 1976 bis 2010/2011 fuhren auch Vertreter, die mit dem Kläger beruflich zu tun hatten, durchschnittlich einmal am Tag mit ihren Pkws über den Zufahrtsweg. Seit über 30 Jahren gelangen auch Besucher des Klägers und seiner Familie mit ihren Kraftfahrzeugen oder zu Fuß über diesen Weg zur Liegenschaft. Auf der Liegenschaft des Klägers befinden sich zwei Pkw Abstellplätze; zusätzlich kann noch ein dritter, kleinerer Pkw geparkt werden. Auch die Öllieferungen für das Wohnhaus des Klägers erfolgen seit über 30 Jahren jährlich (zum Teil auch nur alle zwei Jahre) über den Weg. Als der Kläger auf seiner Liegenschaft baute, wurde der Weg auch von Lkws benutzt. Zwischen dem Kläger und der Beklagten (und deren Rechtsvorgänger) herrschte stets Einvernehmen über die Nutzung des Weges in der dargestellten Weise. Über den genauen Umfang dieses Wegerechts wurde jedoch nicht gesprochen. Ob der Kläger Personen, die auf eine andere Liegenschaft zufuhren, die Nutzung des Weges erlaubte oder ob er diese auf die Notwendigkeit des Einverständnisses der übrigen Eigentümer verwies, kann nicht festgestellt werden.
Mit Schreiben vom 24. 10. 2011 teilte der Beklagtenvertreter dem Kläger mit, die Beklagte habe nicht die Absicht, ihm die Zufahrt zu seinem Grundstück über ihre Liegenschaft streitig zu machen, sie sei jedoch nicht bereit, eine Ausweitung des möglicherweise ersessenen Servitutsrechts zu dulden. Es sei unzulässig, wenn der Kläger den Bewohnern eines anderen Grundstücks erlaube, über den Servitutsweg auf deren Liegenschaft zuzufahren. Er forderte den Kläger auf, dies zu unterlassen.
Der Kläger bestritt mit Schreiben vom 10. 11. 2011, den Eigentümern eines anderen Grundstücks ein Zufahren gestattet zu haben. Er erklärte, Fremdnutzungen auch künftig nicht zu gestatten und führte insbesondere aus, er ersuche um Mitteilung, ob die Beklagte auf seine Kosten einen Dienstbarkeitsvertrag, der die Verbücherung der Dienstbarkeit im bisherigen Umfang vorsehe, unterfertigen würde. Die förmliche Absicherung seiner Dienstbarkeit im Grundbuch würde keinerlei Änderung oder Ausweitung bedeuten.
Daraufhin teilte der Beklagtenvertreter mit Schreiben vom 21. 2. 2012 unter anderem mit, dass durchaus die Bereitschaft bestehe, einer Einverleibung im bisherigen Umfang im Grundbuch zuzustimmen. Als wesentlich sei vorher aber zu klären, dass kein unbeschränktes Geh und Fahrrecht eingeräumt werde, sondern nur ein Geh und Fahrrecht zum Zweck der Erschließung des mit einem Einfamilienhaus bebauten Grundstücks des Klägers. Der Weg diene nur der Erschließung dieses Grundstücks und sei wenig befahren.
Im Antwortschreiben vom 6. 3. 2012 führte der Kläger unter anderem aus, er habe auf seinem Grundstück laut Baubescheid ein Einfamilienhaus inklusive Büro gebaut, welches weiterhin als solches genutzt werde. Hiefür werde ein unbeschränktes Geh und Fahrrecht benötigt.
Im Schreiben des Beklagtenvertreters vom 26. 3. 2012 führte dieser dazu aus, das Servitutsrecht müsse auf die derzeitige Ausübung beschränkt sein. Wesentlich sei, dass das Servitutsrecht ausschließlich zur Erschließung des Grundstücks des Klägers eingeräumt werde. Die Ausübung des Servitutsrechts müsse auf ihn, seine Familienmitglieder sowie Besucher, Lieferanten etc beschränkt sein.
Am 3. 5. 2012 teilte der Klagevertreter dem Beklagtenvertreter unter anderem mit, es handle sich um eine ersessene, ungemessene Servitut, die der Kläger im Grundbuch eintragen lassen wolle. Er werde dem Beklagtenvertreter daher eine entsprechende verbücherungsfähige Urkunde übermitteln.
Mit Schreiben vom 21. 6. 2012 replizierte der Beklagtenverteter darauf, dass die Beklagte grundsätzlich kein Problem damit habe, eine verbücherungsfähige Erklärung zu unterfertigen, wenn damit ein Geh und Fahrrecht zugunsten der Grundstücke des Klägers im möglicherweise ersessenen Umfang, also zur Erschließung des bestehenden einstöckigen, vom Kläger bewohnten Hauses eingetragen werde.
Mit Schreiben vom 17. 7. 2012 übermittelte der Klagevertreter dem Beklagtenvertreter eine als „Aufsandungserklärung“ bezeichnete Urkunde mit auszugsweise folgendem Inhalt: „Auf diesem Weg hat der Servitutsberechtigte die Grunddienstbarkeit des Gehens und Fahrens auf Gst 775 auf einer Breite von 1,5 m entlang der östlichen Grundstücksgrenze für seine Gst 774/2 und .220 jedenfalls durch Ersitzung erworben; ... Die 'Dienstbarkeitsberechtigte' erteilt sohin ihre ausdrückliche Einwilligung, dass ... im Grundbuch ***** auf Gst 775 in EZ 473 die Grunddienstbarkeit des Gehens und Fahrens ... für Gst 774/2 und .220 in EZ 472 einverleibt wird.“
Nach Erhalt dieser Urkunde ersuchte der Beklagtenvertreter den Klagevertreter mit Schreiben vom 25. 6. 2012 zusammengefasst darum, einverständlich festzuhalten, dass sich die Dienstbarkeit nicht auf größere und/oder andere bauliche Anlagen als die auf Gst 220 und 774/2 bestehenden beziehe.
Nach dem schriftlichen Hinweis des Klagevertreters vom 24. 8. 2012, wonach in der „Aufsandungsurkunde“ nicht auf den Umfang des ersessenen Rechts Bezug genommen werde, unterbreitete der Beklagtenvertreter am 4. 9. 2012 den Vorschlag, den Umfang des ersessenen Rechts dadurch zu definieren, dass die Geschäftszahl des Baubescheids des auf der Liegenschaft errichteten Hauses angeführt werde. Der Kläger werde das Wegerecht in diesem Umfang ersessen haben. Damit entfalle auch eine Debatte darüber, ob der Kläger überhaupt das Recht habe, die Verbücherung einer ersessenen, unbestrittenen Wegdienstbarkeit in Tirol zu verlangen.
Der Kläger begehrte, die Beklagte schuldig zu erkennen, in die Einverleibung der Grunddienstbarkeit des Gehens und Fahrens auf ihrem Grundstück 775 auf einer Breite von 1,5 m entlang der östlichen Grundstücksgrenze (zum Nachbargrundstück) einzuwilligen. Er brachte dazu im Wesentlichen vor, das Bestehen der Grunddienstbarkeit sei unstrittig; die Dienstbarkeit sei aber nicht verbüchert. Aufgrund der Publizitätswirkung der Eintragung in die öffentlichen Bücher habe er ein Interesse an der grundbücherlichen Einverleibung der Dienstbarkeit. Er habe die Beklagte wiederholt zur Einwilligung in die Einverleibung der Servitut aufgefordert; sie habe jedoch die Unterzeichnung einer von ihm vorgelegten Aufsandungserklärung verweigert. Die Beklagte beabsichtige, die ungemessene Servitut des Klägers durch Abschluss eines Vertrags in eine gemessene Servitut umzuwandeln und auf diese Art einzuschränken.
Die Beklagte erklärte, das Klagebegehren mit der Begrenzung der Grunddienstbarkeit anzuerkennen, wie diese zum Zweck der Erschließung der Liegenschaft des Klägers, bebaut mit einem Einfamilienhaus mit Büroetage, notwendig und gemessen sei. Sie wendete zusammengefasst ein, sie habe die Dienstbarkeit des Klägers im bestehenden Ausmaß und Umfang nie bestritten und somit zur Klagsführung keinen Anlass gegeben. Sie sei auch mit der Einverleibung des ersessenen Wegeservituts zum Zweck der Erschließung der Liegenschaft des Klägers stets einverstanden gewesen. Aus Gründen der Rechtssicherheit habe sie lediglich in berechtigter Weise die Bedingung gestellt, dass der Umfang der ersessenen Servitut festgehalten werden müsse, nämlich zur Erschließung der Liegenschaft des Klägers, bebaut mit einem Haus mit Büroetage, weshalb sie eine Erwähnung des Baubescheids für das Haus des Klägers in der Aufsandungserklärung vorgeschlagen habe.
Das Erstgericht wies nach rechtskräftiger „Zurückweisung“ des Antrags des Klägers auf Erlassung eines Anerkenntnisurteils das Klagebegehren ab. Rechtlich führte es aus, von einem konstitutiven Anerkenntnis als Anspruchsgrundlage für die vom Kläger angestrebte Einverleibung sei nicht auszugehen, weil aus der Vorkorrespondenz kein Wille der Beklagten, einen selbständigen Verpflichtungsgrund für den geltend gemachten Anspruch zu schaffen, abzuleiten sei. Vielmehr habe sie eine Bereinigungsbereitschaft nur für die Einverleibung der ihren geforderten Beschränkungen entsprechenden Servitut erklärt, und damit lediglich ein Vergleichsangebot erstattet, dem der Kläger nicht zugestimmt habe. Die Einverleibung von ersessenen Felddienstbarkeiten in Tirol könne dann begehrt werden, wenn der Eigentümer des belasteten Grundstücks zu Unrecht deren Bestehen oder ihre Offenkundigkeit bestreite. Dies sei hier jedoch nicht der Fall, weil sich die Beklagte nur dem Ansinnen des Klägers, eine dem Umfang nach nicht näher definierte und „unbeschränkte“ Servitut in das Grundbuch eintragen zu lassen, widersetzt habe. Hinsichtlich einer unbestritten ersessenen Wegeservitut bestehe jedoch kein Rechtsanspruch auf Einverleibung.
Das Berufungsgericht bestätigte das Ersturteil. Die Ersitzung der Wegedienstbarkeit als Grunddienstbarkeit sowie deren räumlicher Umfang seien nicht strittig. Beim ersessenen Wegerecht handle es sich um eine Felddienstbarkeit. Nach Art 1 RGBl 1897/77 bedürften sich als Felddienstbarken darstellende Wegeservituten, insofern sich dieselben auf Ersitzung gründen, in Tirol nicht der Eintragung in das Grundbuch. Die Eintragung solcher Dienstbarkeiten im Grundbuch in Tirol sei dann zulässig, wenn der Eigentümer des belasteten Grundstücks deren Bestehen oder ihre Offenkundigkeit zu Unrecht bestreite. Ein Streit um den Bestand des ersessenen Servitutsrechts liege jedoch nicht vor, sei doch aus der Vorkorrespondenz und aus dem Prozessvorbringen der Beklagten abzuleiten, dass sie den Bestand ausdrücklich anerkenne. Es handle sich dabei um eine ungemessene Servitut. Da kein Streit um den Bestand des Rechts bestehe, sei die Abweisung des Einverleibungsbegehrens gerechtfertigt, gerade weil an der Ersitzung des Geh und Fahrrechts durch den Kläger (und seine Rechtsvorgänger als Grundeigentümer) über einen 1,5 m breiten Streifen des Grundstücks der Beklagten kein Zweifel bestehe. Den Parteien bleibe es unbenommen, im Einvernehmen eine Einverleibung der unstrittigen Dienstbarkeit durchzuführen oder die Art und das Ausmaß der dem Berechtigten zustehenden Befugnisse in einem neuen Titel eindeutig zu umschreiben, also die ungemessene in eine gemessene Dienstbarkeit umzuwandeln, um allfälligen künftigen „Anpassungsproblemen“ vorzubeugen. Da die Beklagte das Einverleibungsbegehren ausdrücklich bestritten habe und sich ihr Anerkenntnis ausschließlich auf den materiellrechtlichen Bestand der Dienstbarkeit beziehe, liege auch kein Anerkenntnis des Klagebegehrens vor.
Das Berufungsgericht sprach aus, dass der Wert des Entscheidungsgegenstands 5.000 EUR, nicht jedoch 30.000 EUR übersteige, und ließ die Revision zu, weil sich der Oberste Gerichtshof zur Frage der Berechtigung eines Einverleibungsbegehrens einer unstrittig ersessenen Wegeservitut in Tirol in jüngerer Zeit nicht geäußert habe.
Gegen die Berufungsentscheidung richtet sich die Revision des Klägers wegen unrichtiger rechtlicher Beurteilung mit dem Antrag, dem Klagebegehren stattzugeben; hilfsweise wird ein Aufhebungsantrag gestellt.
Die Beklagte beantragt in der Revisionsbeantwortung, das Rechtsmittel des Klägers zurückzuweisen, hilfsweise ihm nicht Folge zu geben.
Die Revision ist zur Klarstellung der Rechtslage zulässig und auch berechtigt.
1. Die Ersitzung der Wegedienstbarkeit als Grunddienstbarkeit durch den Kläger sowie deren räumlicher Umfang sind nicht strittig. Ein Anerkenntnis der Beklagten ist ebenso kein Streitthema. Wegedienstbarkeiten im Sinn des § 477 ABGB sind grundsätzlich Felddienstbarkeiten, auch wenn sie einem Grundstück mit Wohnhaus oder einem städtischen Gebäude dienen (9 Ob 46/04m mwN; RIS Justiz RS0037968; vgl RS0122392). Strittig ist, ob im Hinblick auf Art I G RGBl 1897/77 (aufrechterhalten durch das Erste Bundesrechtsbereinigungsgesetz, BGBl I 1999/191; § 72 AllgGAG) das Begehren des Klägers auf Einwilligung in die Einverleibung der Grunddienstbarkeit berechtigt ist oder nicht.
2. Gemäß Art I G RGBl 1897/77 bedürfen als Felddienstbarkeiten sich darstellende Wege und Wasserleitungsservituten, insoferne sich dieselben auf Ersitzung gründen, (in Tirol) der Eintragung in das Grundbuch nicht, und findet auf solche Rechte die Vorschrift des § 1500 ABGB keine Anwendung. Für diese ersessenen Dienstbarkeiten besteht in Tirol eine gesetzliche Ausnahme vom Eintragungsgrundsatz des § 481 Abs 1 ABGB ( Spath in Schwimann/Kodek , ABGB 4 § 481 ABGB Rz 3; Höller in Kodek , Grundbuchsrecht 1.01 § 4 GBG Rz 112; vgl 6 Ob 1632/95). Sie sind von der Eintragungspflicht ausgenommen (6 Ob 1502/96; 1 Ob 9/07s; Klang in Klang II² 561; Höller aaO; Memmer in Kletečka/Schauer , ABGB ON 1.01 § 481 Rz 8; Hofmann in Rummel ³ § 481 Rz 1; Gusenleitner Helm in Fenyves/Kerschner/Vonkilch , Klang 3 § 1498 Rz 25). Nach dem eindeutigen Wortlaut des Art I G RGBl 1897/77 ist ein gutgläubiger lastenfreier Erwerb im Sinn des § 1500 ABGB ausgeschlossen. Das Vertrauen des Erwerbers des belasteten Grundstücks in die Vollständigkeit des Grundbuchs ist in Ansehung der Existenz von derartigen nicht verbücherten Felddienstbarkeiten nicht geschützt (1 Ob 9/07s mwN).
3. Historischer Hintergrund der Regelung war, dass man ein Scheitern der seinerzeitigen Grundbuchsanlegung wegen der zahlreichen Felddienstbarkeiten in Tirol vermeiden wollte. Nach den Erwägungen des historischen Gesetzgebers sollten nur die auf Ersitzung gegründeten Wegeservituten (deren Anzahl allerdings die weitaus größte sei) nicht der Verbücherung bedürfen, und bezüglich derselben sollte § 1500 ABGB außer Anwendung sein, sodass nur im Betreff dieser ersessenen Servituten das Grundbuch der publica fides entbehre; betreffs aller anderen Servituten, also auch für die durch Vertrag, richterliches Urteil oder letztwillige Verfügung begründeten Wegeservituten, möge das allgemeine Recht (Grundbuchsrecht und ABGB) zur Anwendung kommen; aber auch die grundbücherliche Eintragung der ersessenen Wegeservituten solle nicht verboten oder ausgeschlossen, sondern über ein verständliches Verlangen der Parteien gestattet sein (Bericht des Justizausschusses 1516 der Beilagen zu den stenographischen Protokollen des Abgeordnetenhauses, XI. Session 1896, 4). In Tirol ist daher die Eintragung einer ersessenen Wegedienstbarkeit in das Grundbuch zulässig (1 Ob 689/80 = SZ 53/139 unter Bezugnahme auf die Rede des Abgeordneten Dr. Nitsche, mitgeteilt in NZ 1896, 159 [160]).
Der historische Gesetzgeber hatte dabei nur solche Rechte im Auge, die von Alters her unbestritten waren, als etwas Selbstverständliches ausgeübt und geduldet wurden und auch von dritten Personen (Rechtsnachfolgern des Eigentümers des belasteten Grundstücks) selbst ohne bücherliche Eintragung bei Anwendung gehöriger Aufmerksamkeit wahrgenommen werden konnten. Wird aber ein ersessenes Recht zunächst bestritten und seine Offenkundigkeit geleugnet, herrscht also Streit um den Bestand des Rechts, dient die Einverleibung ersessener Rechte der Sicherung des Rechtsverkehrs, weil nur dadurch jeder Erwerber der belasteten Liegenschaft unzweifelhaft auf den Bestand und den Umfang der Dienstbarkeit aufmerksam gemacht wird. Bei Bestreitung des Rechts und der Zulässigkeit der Einverleibung steht dem Dienstbarkeitsberechtigten schon zur Vermeidung wiederholter Prozesse gegen die jeweiligen Eigentümer des belasteten Grundstücks und auch bei Bedachtnahme auf die Rechtslage in Tirol der Anspruch zu, die Einverleibung der Dienstbarkeit zu begehren (1 Ob 689/80 = SZ 53/139).
4. Ein solcher Streit über den inhaltlichen Umfang der ansonsten unstrittigen Grunddienstbarkeit des Geh und Fahrrechts liegt hier vor. Ebenso wie in der außergerichtlichen Korrespondenz begehrt die Beklagte die Begrenzung der Servitut dahin, wie sie zum Zweck der Erschließung der Liegenschaft des Klägers, bebaut mit einem Einfamilienhaus mit Büroetage (Planungsbüro), „notwendig und gemessen“ sei. Sie sei aus Gründen der Rechtssicherheit berechtigt, die genaue Definition des ersessenen Servitutsrechts zu verlangen. Die Beklagte verneinte eine dem Klagebegehren entsprechende Einigung.
4.1. Eine gemessene Dienstbarkeit liegt vor, wenn ihr Inhalt durch den Titel unzweifelhaft umschrieben ist; eine ungemessene Dienstbarkeit hingegen dann, wenn das Ausmaß und der Umfang der dem Berechtigten zustehenden Befugnisse im Titel nicht eindeutig begrenzt ist (RIS Justiz RS0011752 [T2]).
4.2. Beim Erwerb von Dienstbarkeiten durch Ersitzung kann von der Natur und dem Zweck der „Bestellung“ im wörtlichen Sinn nicht gesprochen werden. Bei der ersessenen Dienstbarkeit kommt es daher darauf an, zu welchem Zweck das dienstbare Gut während der Ersitzungszeit verwendet wurde, was also der Eigentümer des herrschenden Gutes während dieser Zeit benötigte. Der Inhalt der ersessenen Dienstbarkeit bestimmt sich deshalb nach dem Zweck, zu dem das belastete Grundstück am Beginn der Ersitzungszeit verwendet wurde (RIS Justiz RS0011664 [T5, T7]). Für den Umfang und die Art der Ausübung einer ungemessenen Dienstbarkeit ist nicht das jeweilige Bedürfnis des herrschenden Gutes im Zeitpunkt der Entstehung der Dienstbarkeit, sondern dessen jeweiliges Bedürfnis innerhalb der Schranken des ursprünglichen Bestands und der ursprünglichen Bewirtschaftungsart maßgebend (RIS Justiz RS0016368 [T13]; RS0011741; 7 Ob 78/13s). Es kommt daher auf die jeweiligen Bedürfnisse des Berechtigten im Rahmen der ursprünglichen oder der vorhersehbaren Art der Ausübung an (RIS Justiz RS0097856; 1 Ob 228/12d).
4.3. Nach den Feststellungen diente der über das Grundstück der Beklagten führende Weg seit mehr als 30 Jahren dem Kläger und seiner Familie, um zu Fuß oder mit zwei Pkws zu seiner Liegenschaft zu gelangen. Zudem fuhren seit über 30 Jahren auch Vertreter, die mit dem Kläger beruflich zu tun hatten, regelmäßig über den Zufahrtsweg. Überdies gelangten seit über 30 Jahren auch Besucher des Klägers und seiner Familie mit ihren Kraftfahrzeugen oder zu Fuß über diesen Weg zur Liegenschaft.
Die von der Beklagten gewünschte nähere Umschreibung des Inhalts der Dienstbarkeit (gemessene Servitut) steht im Widerspruch zu diesen Feststellungen über die während der Ersitzungszeit bestandene und nach wie vor aufrechte Ausübung des Geh und Fahrrechts. Eine im Sinn der Behauptungen der Beklagten begrenzte Servitut („notwendig und gemessen“) liegt nicht vor. Allein durch die Bezugnahme auf die Erschließung der Liegenschaft, bebaut mit einem Einfamilienhaus samt Büroetage, oder alternativ auf den Baubescheid wird der Umfang der ersessenen Dienstbarkeit nicht bestimmbarer.
Der erkennende Senat hat bereits in der Entscheidung 7 Ob 78/13s zu einem inhaltsähnlichen Begehren auf Einwilligung in die Einverleibung einer ersessenen Dienstbarkeit des Geh und Fahrrechts (ohne nähere inhaltliche Umschreibung) ausgesprochen, dass dieses die erforderlichen Bestimmungsmerkmale der Dienstbarkeit enthält und der Verlauf des Geh und Fahrwegs im Urteil durch den Hinweis auf seine Lage im Bereich bestimmter Grundstücksgrenzen näher bezeichneter Grundstücke und durch Bezugnahme auf den integrierten Vermessungsplan eindeutig umschrieben ist. Das gilt auch für das hier gestellte Einverleibungsbegehren. Ob eine zukünftige konkrete Ausübung die Grenzen der ersessenen Dienstbarkeit überschreitet, kann stets nur im Einzelfall beurteilt werden, nicht aber bereits bei Verbücherung des Inhalts der Servitut, die notwendigerweise nur abstrakt formuliert werden kann. Ein von der Beklagten offensichtlich befürchtetes völlig unbeschränktes Geh und Fahrrecht wurde nicht ersessen und wird vom Kläger auch nicht begehrt.
5. Der Revision des Klägers ist daher Folge zu geben und dem Klagebegehren in Abänderung der vorinstanzlichen Entscheidungen stattzugeben.
Die Kostenentscheidung beruht auf den §§ 41 Abs 1 und 50 Abs 1 ZPO. Entsprechend den von der Beklagten gemäß § 54 Abs 1a ZPO erhobenen Einwendungen sind die vom Kläger verzeichneten vorprozessualen Kosten gemäß § 23 Abs 4 RATG im Einheitssatz gedeckt. Die durch Anrufung des örtlich unzuständigen Gerichts verursachten Kosten des Überweisungsantrags sind von der Beklagten ebenfalls nicht zu ersetzen.


Rückverweise
Keine Verweise gefunden